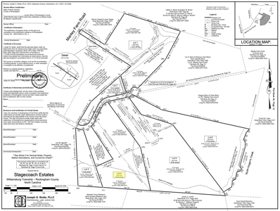
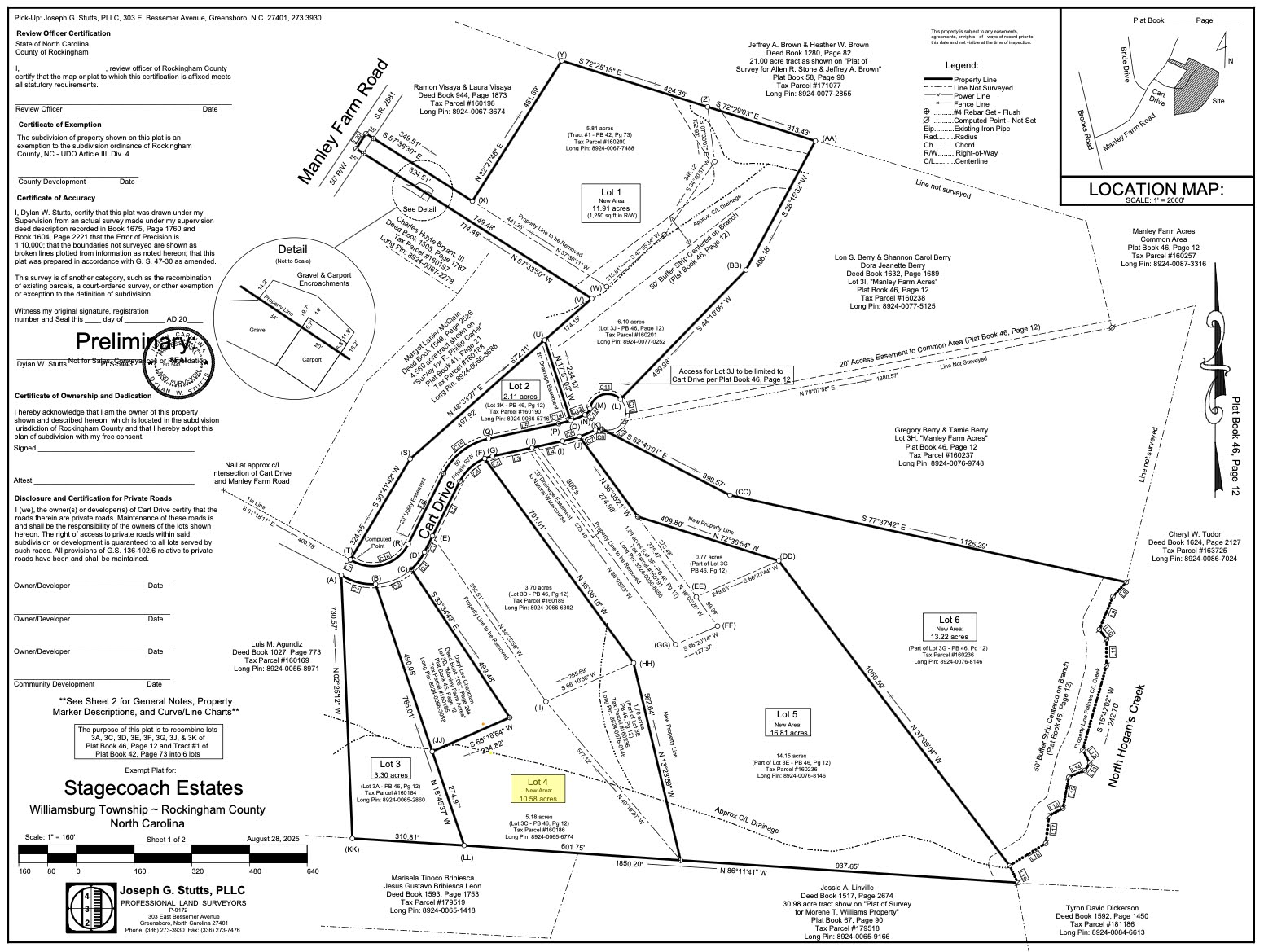
Property Details
10.58 acres of prime, buildable, wooded land for sale in Reidsville, NC! This Rockingham County property offers a creek near the back boundary, mixed hardwood timber for natural privacy, and a network of cut access trails for easy exploration and access. The entire parcel is wooded, making it perfect for a secluded homesite, recreational getaway, or long-term investment.
All lots, including this one, come perked, professionally surveyed, and ready to build—with soil report, survey, and property disclosures provided in the attachments. Seller financing is available, making land ownership flexible and accessible in one of North Carolina’s most attractive rural areas.
Ideal for those searching for:
- Wooded buildable acreage with a creek in North Carolina
- Land for sale in Reidsville, NC with seller financing
- Ready-to-build country lots with trails and timber
- North Carolina land with surveys and soil reports included
Take advantage of this unique opportunity to own your own acreage in the country in Rockingham County.
Property Features
- Plentiful Deer, Wildlife, ETC
- Acreage For Sale In NC
- Cleared Homesite With Privacy
- Land For Sale In Reidsville NC
- Matthew Peachey 704-433-2395
- 11 Acres For Sale
- No Restrictions
- Hunting
- Land for Sale
- Owner Financing
- Timberland Property
